Multifamily House for Sale in Villa Martelli

Residential Properties - Houses en Vicente Lopez · Villa Martelli · Buenos Aires
USD 170.000 Sale 5 rooms 3 170 m²

Key information

Operation
Sale
Property type
Casa
Total area
170 m²
Covered area
170 m²
Rooms
5
Bathrooms
3
Bedrooms
4

Amenities & Features

Rooms
  • Bathroom
  • Dining Room
  • Bedroom
  • Living Room
  • Patio
  • Terrace

Property Description

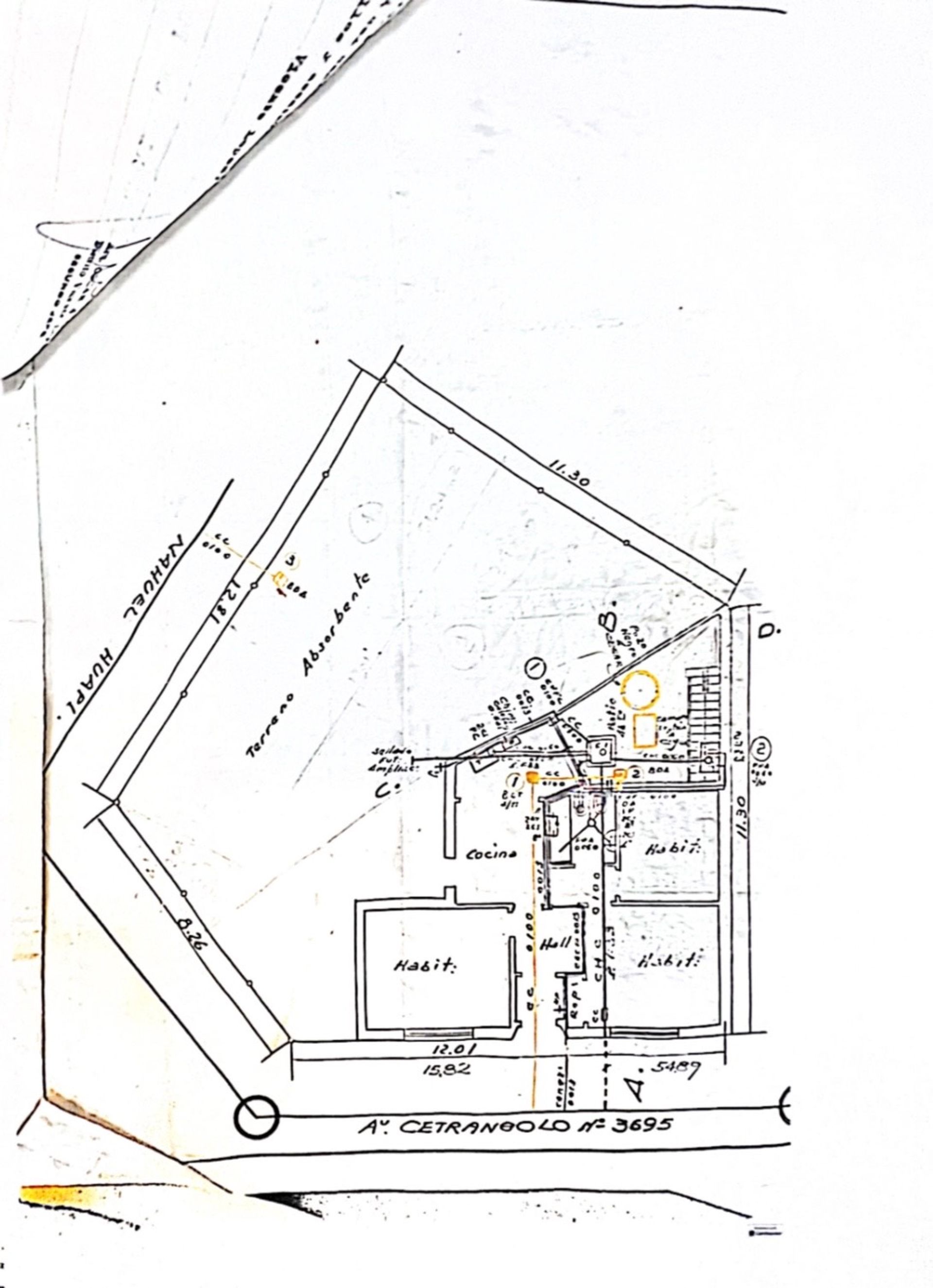
Located in the strategic Villa Martelli area, four blocks from the commercial center on Av. Francisco N. Laprida and two blocks from Av. Mitre, this 205 m² plot offers a development with three apartments that present substantial appreciation potential. Proximity to General Paz and the Panamericana guarantees swift access to the city’s main arteries, while the area blends commercial and growing residential sectors, featuring nearby schools, banks, and retail outlets.

The project includes three replacement units: a two‑room apartment with patio, another two‑room unit on the upper floor of 40 m² covered with balcony, and a three‑room apartment on the ground floor with patio. Each of these dwellings is located on a block measuring 8.66 × 12.81 m, with a density of 150 inhabitants per hectare, FOS of 0.60 and FOT of 1.2. The maximum permitted height is 10.50 m for flat roof and 13.50 m for pitched roof, with a maximum of three stories, including ground floor and basement.

The plot has no front or rear setbacks, allowing flexible block configuration. The development is intended to be refurbished and transformed into a profitable investment, either for multifamily rental or for the creation of a high‑quality residence. The indicated dimensions are approximate; actual measurements will be confirmed in the deed.

Location & Surroundings

Vicente Lopez · Villa Martelli · Buenos Aires

Send Inquiry to Multifamily House for Sale in Villa Martelli

Attention: This property may not be available.

Contact us to verify its current availability or inquire about similar properties.