Venta Lote Terreno 1500M2 Gral Pacheco R2C Fot 1.2

Terrenos y Desarrollo - Lote Urbano en Tigre · General Pacheco · Buenos Aires
USD 285.000 Venta

Información principal

Operación
Venta
Tipo de propiedad
Terrenos y Lotes
Condición
Bueno
Apto Crédito

Descripción del Inmueble

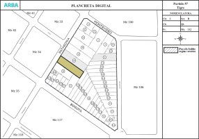
Lote de 1.500 m² ubicado en el barrio El Zorzal, General Pacheco, Partido de Tigre. La parcela cuenta con 20 metros de frente sobre la calle Patagonia y 75 metros de profundidad, ofreciendo una superficie ideal para proyectos de desarrollo inmobiliario. La zona residencial presenta la zonificación R2C, con FOS de 0.60 y FOT de 1.20, lo que permite una densidad neta de 400 hab/ha. La infraestructura incluye agua corriente y cloacal, garantizando un acceso completo a servicios básicos.

En la parcela se encuentran dos construcciones: una vivienda de una sola planta situada en el lateral derecho y un quincho con piscina en la parte trasera. Esta configuración brinda un equilibrio perfecto entre espacio residencial y amenidades recreativas, ideal para quienes buscan comodidad y calidad de vida.

La ubicación combina la tranquilidad característica del barrio con la proximidad inmediata a servicios esenciales, espacios verdes y recreativos de calidad. La conectividad es excelente, con cercanía a arterias como Av. de Los Constituyentes y Av. Hipólito Yrigoyen (Ruta 197), facilitando el acceso a la Panamericana y al transporte público. Además, la zona cuenta con escuelas como el Instituto Mariano Moreno e Instituto Santa Ana, plazas como El Zorzal y Alfonsín, comercios locales y hospitales, lo que la convierte en un enclave atractivo para quienes valoran la comodidad y el potencial de crecimiento.

Ubicación y Entorno

Tigre · General Pacheco · Buenos Aires

Enviar Consulta a Venta Lote Terreno 1500M2 Gral Pacheco R2C Fot 1.2