Venta Lote en Villa Martelli

Terrenos y Desarrollo - Lote Urbano en Vicente Lopez · Villa Martelli · Buenos Aires
USD 170.000 Venta

Información principal

Operación
Venta
Tipo de propiedad
Terrenos y Lotes
Condición
Regular, A Refaccionar
Accesible

Descripción del Inmueble

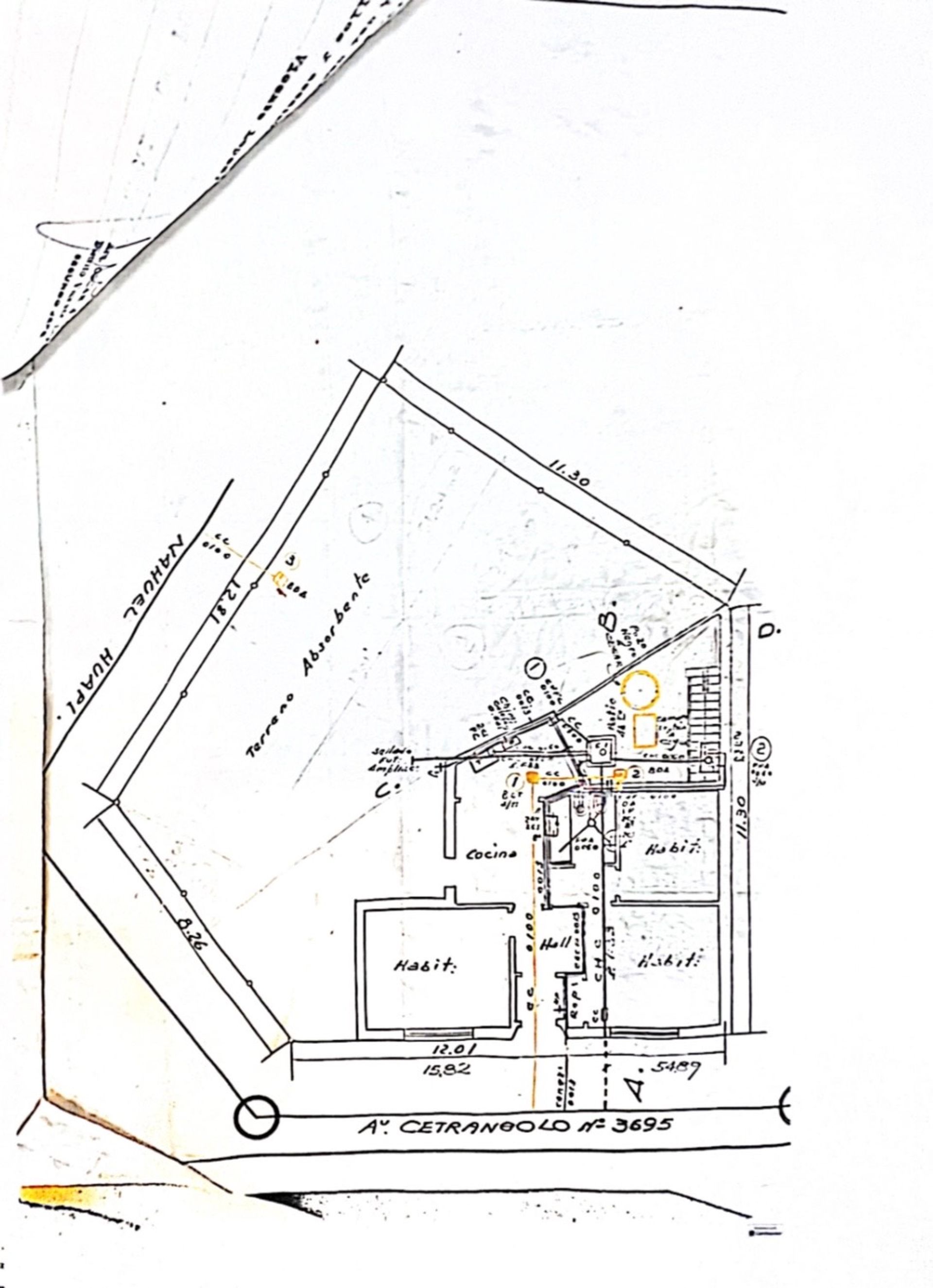
Terreno de 205 m² ubicado en la exclusiva zona de Villa Martelli, Vicente López, con una disposición de 8,66 m × 12,81 m que ofrece una excelente relación entre la superficie construible y el espacio libre.

El proyecto urbanístico contempla un FOS de 0,60 y un FOT de 1,2, con una densidad de 150 habitantes por hectárea. La altura máxima permitida es de 10,50 m para cubierta plana y 13,50 m para cubierta inclinada, lo que permite un desarrollo de hasta tres niveles, incluyendo planta baja y semisótano.

La parcela alberga tres departamentos listos para ser reciclados. El primer inmueble, de 2 ambientes, cuenta con un patio privado que brinda luminosidad y ventilación natural. El segundo, situado en la planta alta, ocupa 40 m² cubiertos y dispone de balcón, ideal para disfrutar del aire libre. El tercero, de 3 ambientes, se ubica en la planta baja y también incluye patio, ofreciendo un espacio amplio y funcional.

Estas unidades presentan un potencial excepcional para la creación de viviendas de alto valor, con la posibilidad de adaptar los espacios según las necesidades del futuro propietario. La combinación de la ubicación privilegiada, las características urbanísticas y el potencial de desarrollo hacen de este terreno una oportunidad única para quienes buscan invertir en un proyecto con gran proyección.

Ubicación y Entorno

Vicente Lopez · Villa Martelli · Buenos Aires

Enviar Consulta a Venta Lote en Villa Martelli

Atención: Esta propiedad posiblemente no se encuentre disponible.

Contactate con nosotros para verificar su disponibilidad actual o consultar por propiedades similares.